Title: Focus on Hydrate Ridge

File Type: Image

File Size: 186 kb

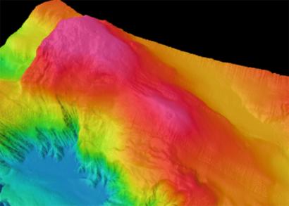
A 3D perspective depiction of what has become known as Hydrate 
Ridge, a feature that is very actively a focus of research by scientists at Oregon State University in Corvallis,Oregon. North is off to the left of the picture and Newport, Oregon is about 50 miles away to the east (top). The large mound to the north is known as northern Hydrate Ridge and the smaller mound to the south (right) is the area of most active research by OSU, their German colleagues at GEOMAR, and the Ocean Drilling Program supported by the National Science Foundation. Southern Hydrate Ridge will be one of the early experimental sites for the Regional Scale Nodes of the NSF ocean observatory network in the northeast Pacific.

Date: 2008-08-01

Image Usage Guidelines

Click to view/download larger size